病院犬(生後約4ヶ月)の股関節を、PennHIP(ペンヒップ)という特殊器具を用いたレントゲン撮影を先日実施しました。
撮影をした理由としては少し腰を振って歩いていたり、足を投げ出す様に座っていていて、股関節形成不全が疑われたからです。
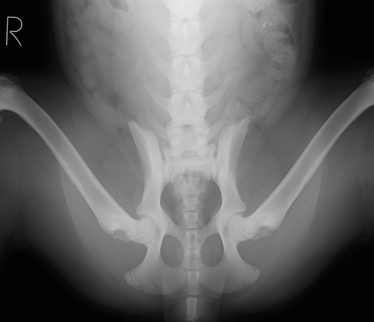
下にあるのが実際に撮影したレントゲンになります。


大型犬には、小型犬と比べて起こりやすい病気がいくつかあります。その中の一つに股関節形成不全(CHD) というものがあります。CHDとは、発達や成長異常により、股関節が変形・不安定症・炎症を引き起こす股関節の病気です。進行すると、骨関節炎により歩く度に痛みが出るようになります。
CHDの診断には股関節のレントゲン撮影が必要になります。しかし、一般のレントゲンで見つかる股関節の異常は、重度または進行した場合に限ります。ふなばし動物医療センターでは、このCHDの早期発見ができるペンヒップ(PennHIP)という特殊なレントゲン撮影を取ることが可能です。
Q. ペンヒップとは?
米国ペンシルバニア大学で開発された、CHDの早期発見につながる、「股関節の緩み」を評価する撮影方法です。一般的なレントゲン撮影方法ではこの緩みは測定することはできません。認定獣医師が特殊な器具を用いて撮影します。
Q. なぜCHDには早期診断が必要?
早期診断が行えた場合には、早期にしか行えない治療を行うことができます。特に、体に一番負担のかからない「若齢期恥骨結合癒合術(JPS)」を行うには、症状がほとんど見られない5ヶ月齢以内にペンヒップで適切な診断、治療ができるかが鍵となります。「2点骨切り術(DPO)」は次に負担の少ない手術で、5〜8ヶ月齢で診断できた場合に限ります。これらの時期を通り過ぎてしまうと、人工股関節置換や大腿骨頭切除のみが適応となり、手術による体への負担が大きくなります。
また早期に診断することにより、その後の生活を改善し、症状の悪化を防止することもできます。
Q. 手術以外に治療法は?
内科療法では股関節の形成異常を治すことはできません。治療の目的はあくまでも進行を遅らせ痛みを緩和することとなります。鎮痛剤、サプリメント、レーザー療法、運動療法、体重管理などがあります。
Q. ペンヒップはいつからできるの?
ペンヒップは16週齢から可能となり、CHDが一番早期に診断できる方法になります。他のCHD診断法は1-2歳以降でないとできないと言われています。
Q. 他のレントゲン撮影方法との違いは?
下の図にあるようなディストラクター(下の写真)とよばれる特殊な器具を用いて、三つの体位で股関節を撮影し、股関節の緩みをレントゲン画像上で可視化し、その緩みの数値を測定します。

Q. ペンヒップは安全なの?
ペンヒップのレントゲン撮影は痛みにつながったり、関節炎を悪化させることはありません。しかし、力が入っている状態では股関節の緩みを測定できないため、基本的には麻酔か鎮静が必要となります。そのためペンヒップ撮影の当日は絶食絶水、麻酔前検査として血液検査と胸部レントゲン撮影が必要になります。
Q. ペンヒップができないケースは?
以下に該当する場合ははペンヒップは不可能となります。
- 16週齢未満の犬
- 妊娠中の犬(離乳が終わってから2か月は空けてください)
- 重大な股関節の異常が認められる場合
- 超小型犬
撮影したペンヒップの画像は、アメリカの専門読影医に送られます。犬種別データーベースと比較され、今後の関節炎リスクや推奨される治療法などを含む報告書が1~2週間程で送られてきます。
ご興味のある方、大型犬を新しく迎え入れた方、大型犬で股関節が心配な方はぜひPennHIPを検討してみてはいかがでしょうか。