⚠⚠手術関連の画像が含まれます。苦手な方は閲覧ご注意下さい⚠⚠
今回の症例は、1週間前から右後肢をかばって歩くようになったという、1歳のミニチュア・ピンシャーの男の子。
他院にて痛み止めを処方されましたが、改善せずセカンドオピニオンとして当院に来院されました。
来院時、右後肢の負重は弱い状態で、筋肉量が減少し、細くなっていました。
また、股関節伸展時に疼痛が認められたため、レントゲン検査を行いました。
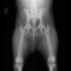
来院時のレントゲン写真です。

右大腿骨の大腿骨頭の変形および扁平化が確認されました。
レントゲン検査所見や症状から、小型犬の成長期にみられる
大腿骨頭壊死症(レッグペルテス病)を疑い、
大腿骨頭切除術(FHO)を実施しました。


この子は退院後、少しずつですが右後肢を使えるようになってきています。
痛みがとれて元気も出てきました。
レッグペルテス病は、若齢期の小型犬の大腿骨の骨頭が壊死してしまう疾患です。
この疾患は4~12ヵ月齢の成長期に発症し、激しい痛みを伴います。
大腿骨頭に栄養を供給している血管が減少し、血液供給が途絶えてしまうことで起こると言われていますが、血流阻害の原因については不明です。
一度壊死をしてしまった大腿骨頭は再生しないため、今回実施した大腿骨頭切除術もしくは股関節を人工関節に置換する股関節全置換術が適応となります。
当院ではどちらの術式も行っております。
成長期のわんちゃんで何か歩き方に異常が見られたら早めに動物病院にいらしてください。